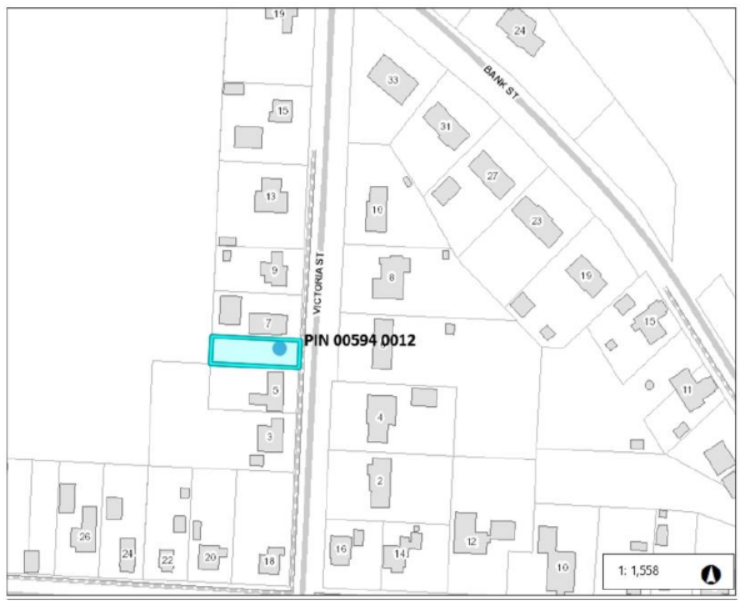
NOTICE OF THE PROPOSED ROADWAY CLOSING Notice is hereby given that at a meeting of the Council of the Municipality of Chatham-Kent on September 13, 2021 at 6:00 p.m. during the electronic meeting of Council, available on YourTV CK’s Facebook Page or YourTV CK’s YouTube channel, Council will consider, and if approved, may pass a by-law to stop up and close the unopened roadway from Victoria St in the community of Tupperville:
- Property Identification Number 00594 0012, Plan of Survey of Part of Princess Street, Registered Plan 350, Municipality of Chatham-Kent, being all of PIN 00594 0012 as depicted in 24R10917.

At this meeting, Council will hear any person or their solicitor or agent, who claims that their land will be prejudicially affected by the by-law and who provide a written submission by email to the Clerk’s office (ckclerk@chatham-kent.ca) by 3:00pm on September 13th. For further information, please contact Amy McLellan, Manager, Revenue at 519-360-1998, Ext 3185.
– This story is sponsored content.















